Estados tendrán afectación por tormenta tropical Francine
La Chispa informa sobre los efectos que la tormenta tropical Francine tendrá en varias regiones. Este fenómeno climático, surgido la mañana de este lunes 9 de septiembre de 2024, en el Golfo de México, podría causar estragos en varios estados tanto de México como de Estados Unidos. Estos Estados tendrán afectación por tormenta tropical, y aquí te contamos todos los detalles sobre su impacto potencial y las medidas preventivas.
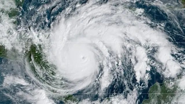
El surgimiento de la tormenta tropical Francine
Francine, el sexto ciclón de la temporada en el Atlántico, se ubica a 300 kilómetros al este-noreste de La Pesca, Tamaulipas, y a 395 kilómetros al sur-sureste de la desembocadura del Río Grande, en la frontera de México con Estados Unidos. Con vientos sostenidos de 85 km/h y rachas de hasta 100 km/h, avanza hacia el nor-noroeste a una velocidad de 7 km/h, según informes del Centro Nacional de Huracanes (NHC). Se espera que esta tormenta continúe intensificándose.
Previamente, NHC había nombrado este sistema como ‘ciclón tropical potencial seis’, una clasificación dada a sistemas que aún no están completamente organizados pero que traerán peligros a tierra en un margen de 48 horas.

Estados tendrán afectación por tormenta tropical: ¿Cuáles serán los más golpeados?
Lluvias y fuertes vientos en múltiples regiones
Debido a la interacción entre la tormenta tropical Francine, el sistema frontal número 1 y la Onda Tropical 21, y el ingreso de aire húmedo del mar Caribe y el golfo de México, el SMN prevé lluvias torrenciales en estados como Tamaulipas, Veracruz; intensas en Chiapas, Guerrero, Oaxaca y Puebla; y otros del sureste mexicano. La afectación incluye oleajes de hasta 5 metros y rachas de viento que podrían superar los 90 km/h en algunas áreas costeras de Tamaulipas, Veracruz.
Los estados tendrán afectación por tormenta tropical como Tamaulipas y Veracruz, donde se esperan los vientos más intensos y las mayores acumulaciones de lluvia.
Además, los especialistas alertan sobre posibles trombas marinas en estas zonas, lo que aumentaría el peligro para quienes habitan o trabajan cerca del mar.
Pronósticos para el resto del año
Según los expertos, esta tormenta es solo una de las 23 tormentas tropicales que se prevén para este año, y, lo que subraya la importancia de tomar medidas de precaución en las próximas semanas.
El SMN también ha informado sobre la continuidad de la temporada de huracanes y sus efectos en la región del Atlántico.

Los especialistas pronostican 23 tormentas tropicales para este año, y de ellas, 11 podrían convertirse en huracanes, lo que subraya la gravedad de la situación. En caso de intensificarse, Francine podría llegar a tocar tierra como huracán, afectando aún más a los estados que ya se encuentran bajo alerta.
Así que ya sabes qué estados tendrán afectación por la tormenta tropical Francine, con especial atención a las regiones costeras. Los residentes deben mantenerse informados a través de fuentes oficiales como el Servicio Meteorológico Nacional y seguir todas las indicaciones de las autoridades para minimizar riesgos.
